55 PARLIAMENT Street, Prince Edward County, ON K8N 4Z7 (Parliament & County Rd 3)

Price : $390,000.00 , MLS®# : X12921262

Description

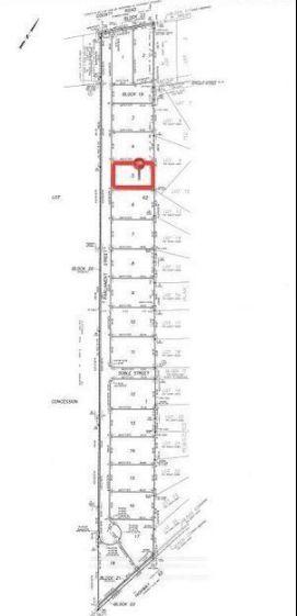
Welcome to Lady of the Woods Estates! This pristine 0.983 acre lot (Lot 5) in Prince Edward County offers a rare opportunity to build your dream estate home with walkout basement near the water. Enjoy the perfect blend of urban convenience and nature in this stunning island community, just minutes from downtown.Lady of the Woods Estates is ideally located, just a 2-minute walk from the picturesque Bay of Quinte and a 5-minute drive from the heart of town. With easy access to Highway 401, it's only a 2-hour drive to Toronto and 2.5 hours to Ottawa. Discover the unparalleled charm and convenience of living in Prince Edward County today!

Location Description

Parliament & County Rd 3

Property Details
  • Community: Ameliasburg Ward
  • Property Type: Vacant/Residential Freehold
  • Annual Property Taxes : $ 992.1
Building Features
Building Features
  • Sewer : Sewer ,
  • Cooling :
Land (Lot Features)
  • Frontage: 170.6 sq.ft
  • Land Depth: 253sq.ft

Listing Contracted With: Royal LePage Our Neighbourhood Realty